
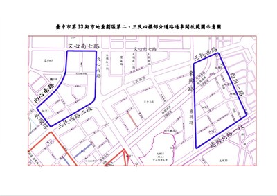
台中市第13期市地重劃區近期將完成重劃區交地作業,考量開放通車後可舒緩建國北路、文心南路及三民西路車流量,降低車潮壅塞程度,台中市政府表示,自今(14)日起開放第13期重劃區部分道路通行使用,包含南區東興路以東區域、南屯區文心南路西側與向心南路間區域等2處,但不含西川二路生態景觀渠道及細10M-54道路,盼供民行的便利。
地政局長吳存金表示,台中市第13期市地重劃區內還有整合標工程、滯洪池工程及環中路西側拓寬20M工程等三工程施工中,地政局除持續督促施工廠商積極趕工,期望儘早完工,也盼藉由分階段、分區域開放道路通行,逐段紓解建國北路、文心南路及三民西路壅塞車潮。
吳局長指出,第13期市地重劃區完成土地點交程序後,能連結八期重劃區、中山醫大商圈及秀泰商圈,擴大經濟發展,促進疫情後的地方經濟再創高峰。(3/14*16)*地政局
聯絡人:台中市政府地政局 張先生
聯絡電話:04-22218558分機63875